In October 2019 a planning application was made to develop a new Lidl store on the former GKN site in Hamstead.

Construction is underway with site work from November 2020.
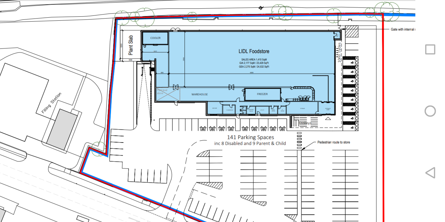
The new Lidl opened on 4th November 2021.
In October 2019 a planning application was made to develop a new Lidl store on the former GKN site in Hamstead.

Construction is underway with site work from November 2020.
The new Lidl opened on 4th November 2021.